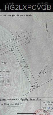
Diện tích: 208.1 (m2)
Vị trí: Xã Xuân Thới Thượng - Huyện Hóc Môn - Tp Hồ Chí Minh

Đất 2 mặt tiền đường XTT58, HOCMON…2 xe tải né nhau.

Dt: 5m x 42m; Dtcn: 208m², fullthổ. Tiện xây mới hoặc nhfa Kho- Xưởng Mini có thu nhập ổn định…

Kdc hiện hữu, 📗📗📗 sổ hồng riêng, chinh chủ lâu đời thiện chí. bán lấy tiền làm ăn…

💵💵💵Giá: 8tỷ- thương lượng. Ace có khách hợp tác cùng win/ win nào.

☎️ / Zalo ***- gọi Xuân để xem đất và gặp chủ thương lượng…


Kho Xưởng HCM

Quét mã QR xem nhanh

Nếu sản phẩm này chưa phù hợp, hãy gửi yêu cầu cho Kho Xưởng HCM tìm giúp bạn nhé!.

FORM Tạo Yêu Cầu

Trường có dấu (*) là bắt buộc phải nhập

Tên của bạn

Số điện thoại (*)

Bạn là Khách Hàng hay Môi Giới?

Khu vực mong muốn

Diện tích

Dự kiến tài chính

Mô tả nhu cầu

Hình ảnh mẫu tham khảo (Max: 3 ảnh)


Nếu bạn là Chủ Bất Động Sản hoặc Môi Giới nắm sát chủ cần đăng sản phẩm lên KhoXuongHCM.Com hãy liên hệ ngay với chúng tôi qua số điện thoại Bấm gọi 077.305.4516 hoặc Zalo: 077.305.4516

Bất động sản cùng loại

2023© Kho Xưởng HCM